без комісії
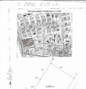
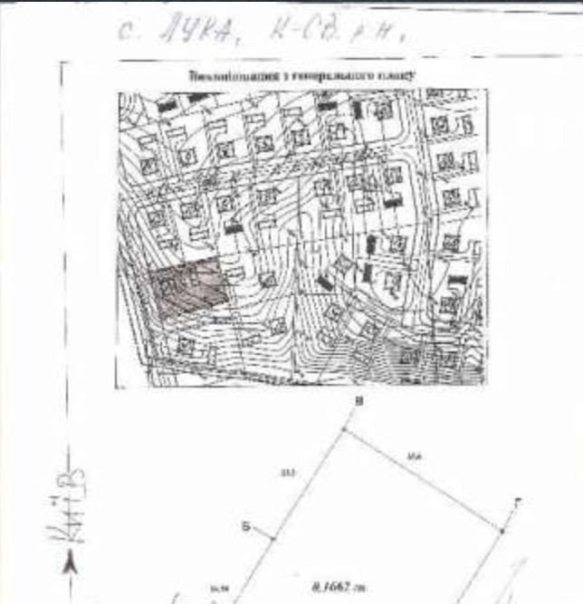
ул. Школьная, 14 — Продається ділянка під забудову
(с. Лука, Киево-Святошинский район)
1000 $ за сотку
Площа ділянки: 16 сот
Продам, сдам в аренду или обменяю ! Очень выгодно! Свой участок 16,5 соток под индивидуальное строительство. Киево-Святошинский р-н, Гореницкий с/c, с. Лука, ул. Школьная. Участок 33x50 м, рядом р. Ирпень (пляж), лес, транспорт. До асфальта, остановки транспорта и коммуникаций - 200 м. Угловой, фасадный, с дополнительным заездом. Возможность поделить на 2-3 части ( или более). Перспективное место для жизни и бизнеса( база отдыха/таунхауз/отель и т.п.).Район активно застраивается. Возможна продажа соседнего. Можем продать по маленьким кусочкам ( 5-6соток) Рассмотрим любые предложения !! Торг до победы!